ĮKELTI SKELBIMĄ
Rinka Logo
Pasirink miestą

10,29 ir 9,8 a namų valdos sklypai Šilagalyje

Panevėžys | 2026 02 05 | Pažymėti skelbimą
11900,00 € 10,29 ir 9,8 a namų valdos sklypai Šilagalyje-0
Peržiūrėti visas 6 nuotraukas
Visos nuotraukos (1/6)
Komunikacijos, kanalizacija, vanduo:
visos komunikacijos, komunikacijos šalia, elektra, dujos, miesto vandentiekis, miesto kanalizacija
Sklypo paskirtis:
namų valda
Sklypo plotas arais:
10
Kitos ypatybės:
geodeziniai matavimai, kraštinis sklypas, visuomeninis transportas, be pastatų, tvora, gyvenvietėje, gražios apylinkės
Miestas / Rajonas:
Panevėžio r. sav.
Mikrorajonas / Gyvenvietė:
Šilagalys
Gatvė:
Miško g.

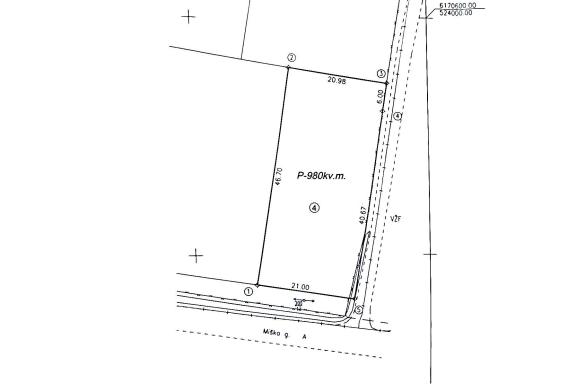
10,29 ir 9,8 a namų valdos sklypai Šilagalyje

Sklypai greta vienas kito;
10,29 a – Šviesos g. 21A (taisyklingo kvadrato formos), PARDUOTAS;
9,8 a – Miško g. 17 (stačiakampio formos, kraštinis), kaina 11 900 Eur;
Naudojimo pobūdis: mažaaukščių gyvenamųjų namų statybos / vienbučių ir dvibučių gyvenamųjų namų teritorijos;
Atlikti kadastriniai matavimai, yra detalusis planas;
Šalia sklypų visos komunikacijos: dujos, elektra, vanduo, nuotekos;
Netoliese parduotuvė ~ 1 km, autobuso stotelė ~ 1,3 km;
Panevėžio miesto centras ~ 7 km;
Tai rami ir patogi vieta Jūsų namo statybai!

Kaina: 11900,00 €
Peržiūrėta: 330 kartų
Kai Jūs skambinate ar rašote, nepamirškite paminėti, kad jūs radote šį skelbimą rinka.lt svetainėje
Kaina: 11900,00 €
Pranešti apie skelbimą
Skambinti Rašyti SMS

Kiti vartotojo skelbimai

Erdvus 97,86 kv. m sodo namas Naujikų k.-0

Erdvus 97,86 kv. m sodo namas Naujikų k. Namo pirmas aukštas – mūrinis, mansarda – rąstinė; Pirmas aukštas: kambarys – 17,48 kv. m, virtuvė – 5,62 kv. m, koridorius – 4,2 kv. m, dušinė su WC – 3,...

35000,00 € Panevėžys Įkelta: šiandien
Jaukus 1 kamb. butas renovuotame name-0

Jaukus 1 kamb. butas renovuotame name Namas – blokinis (statybos metai – 1967, renovacijos – 2015); Butas 2 aukšte iš 5; Bendras plotas – 30,39 kv. m (koridorius – 4,18 kv. m, virtuvė – 6,02 kv....

65000,00 € Panevėžys Įkelta: 2026 04 25
Mūrinis sodo namas Kaubariškio k.-0

Mūrinis sodo namas Kaubariškio k. Namo bendras plotas – 37,67 kv. m; Pirmas aukštas: veranda – 8,41 kv. m, kambarys – 15,55 kv. m ir virtuvė – 6,23 kv. m; Pastogė: kambarys – 7,48 kv. m, balkona...

18000,00 € Panevėžys Įkelta: 2026 03 07
25 a namų valdos sklypas Ūtos k.-0

25 a namų valdos sklypas Ūtos k. Naudojimo būdas: vienbučių ir dvibučių gyvenamųjų namų teritorijos; Atlikti kadastriniai matavimai, yra detalusis planas; Šalia sklypo elektros spinta; Netoliese...

18000,00 € Panevėžys Įkelta: 2026 02 25
Filtruoti Nuimti filtrus